9
$289,900 Sale
Listed 1 day
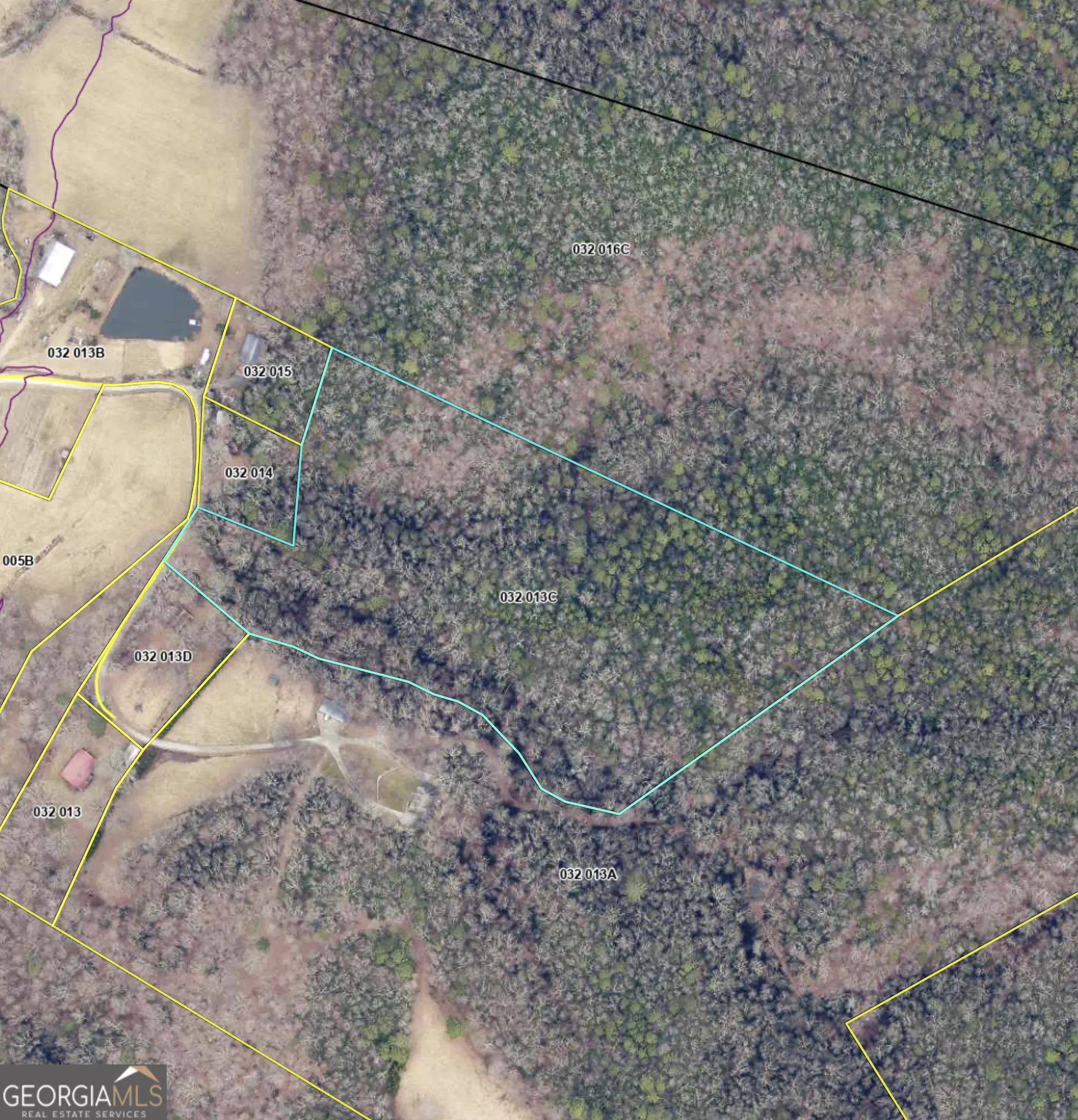
0 Benfield Lane, #TRACT 4
· 0
· 0
· -
· -
Key Facts
Key facts for 0 Benfield Lane, #TRACT 4
Property Type
Lots/Land
Parking
-
MLS #
10620482
Size
-
Basement
-
Listed on
-
Lot size
-
Tax
$1,000 /yr
Days on Market
-
Year Built
-
Maintenance Fee
-
Description
Discover the perfect blend of privacy and convenience with this remarkable 12.84-acre property in the sought-after North Georgia Mountains. Nestled near the pristine shores of Lake Burton, this undeveloped land offers a blank canvas for your dream home or getaway retreat. Surrounded by nature's tran...quility, you'll enjoy seclusion while still being conveniently located near outdoor adventures, charming mountain towns, and local amenities. Bring your building plans and make your vision a reality in this highly desirable area. Don't miss this rare opportunity to own a slice of paradise!The adjoining parcel is also available MLS#10414228.
Similar Properties (No results)
Listing courtesy of: LDNG01